
Selle français originel de 3 ans en 2026
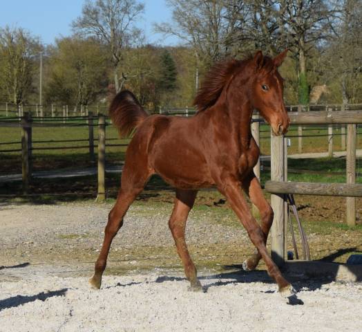
NEVER SAY NEVER , Selle Français Originel , Entier , Né Mai 2023 , Bai Cerise par DOLLAR de la PIERRE Iso 177 X SIOUX de BAUGY X Anglo Arabe (...
- Entier
- Selle Français
- Bai
- 3 ans
- Par : DOLLAR DELA PIERRE

NEVER SAY NEVER , Selle Français Originel , Entier , Né Mai 2023 , Bai Cerise par DOLLAR de la PIERRE Iso 177 X SIOUX de BAUGY X Anglo Arabe (...

Propose mâle d'un an par Highway TN et une mère par Cicero Z x Dollar du Mûrier. Poulain avec de la taille et du rayon. Trois très belles...
Nell du peyron, , par Idem du peyron Han ( Farrell/Sorento) et Astre d'Argences SF par Lamm de Fetan. Joli modèle: tout en rondeur, une belle...
Notre toute première naissance Selle Français à l’élevage commence par une belle pouliche, née le 17 mars 2026. Bienvenue à QUEEN...
Je vous présente le second poulain de ma jument PURPLE YOU DU FACTUS Selle Francais, Male, Bai du 21/04/2025 Par FALKO DE HUS SF...
Hongre de 1 ans Devrait toiser mini 1m65 adulte Gentil poulain, qui a encore besoin de prendre confiance en l'homme mais bien...
Une pouliche de qualité Casallo Z x Cabdula du Tillard. Belle modèle avec les belles allures. Elle a 3 ans en mai, bien manipulée et de bon...
Bonjour, plusieurs chics deux et trois ans. Mâles et hongres. Hyper gentils et Pratiques. Belles génétiques, sang, et mères performantes. Sf,Csan...
**** Prince d'orphee ****** Poulain SF 1 an né en avril 2025 , bai Par : Itoki de riverland ISO 137 Fils Candy de nantuel (...
Femelle OC de 1 an Petit prix, départ rapide souhaité 💃 Croisement entre une ponette qui s’est illustrée en cce avec de nombreux...
******* PRESTIGE D ORPHEE ******* Poulain male selle Francais pp , bai né fin mai 2025 . Proche de l'homme , monte et voyage en van...
🌟 À VENDRE – Poulain mâle Selle Français 2025 – Origines internationales 🌟 Élevage propose à la vente un poulain mâle Selle...
🐴 OPIUM DIAMANTIS AA Hongre Anglo-Arabe 2 ans Né le 30/03/2024 – castré janvier 2026 ⸻ 🌟 Origines sport haut niveau Père :...
Ornella du Vana Selle Français Née en 2024 Père Cooper van’t Heffinck Mère par Diamant de Semilly Grand mère maternelle...
Disponible: Jument, Z, 3 ans, bai foncée, 1m55 Par Dartagnan de Beliard X Andiamo Semilly Jument en cours de débourrage,...
Trouvez votre futur cheval de complet
Propose mâle d'un an par Highway TN et une mère par Cicero Z x Dollar du Mûrier. Poulain avec de la taille et du rayon. Trois très belles...
NEVER SAY NEVER , Selle Français Originel , Entier , Né Mai 2023 , Bai Cerise par DOLLAR de la PIERRE Iso 177 X SIOUX de BAUGY X Anglo Arabe (...
Nell du peyron, , par Idem du peyron Han ( Farrell/Sorento) et Astre d'Argences SF par Lamm de Fetan. Joli modèle: tout en rondeur, une belle...
Annonce sponsorisée
Horsia, service funéraire pour les équidés
Horsia accompagne les propriétaires d’équidés avec des services funéraires respectueux : enlèvement, crémation et urnes funéraires.
EN SAVOIR PLUSNotre toute première naissance Selle Français à l’élevage commence par une belle pouliche, née le 17 mars 2026. Bienvenue à QUEEN...
Je vous présente le second poulain de ma jument PURPLE YOU DU FACTUS Selle Francais, Male, Bai du 21/04/2025 Par FALKO DE HUS SF...
Hongre de 1 ans Devrait toiser mini 1m65 adulte Gentil poulain, qui a encore besoin de prendre confiance en l'homme mais bien...
Une pouliche de qualité Casallo Z x Cabdula du Tillard. Belle modèle avec les belles allures. Elle a 3 ans en mai, bien manipulée et de bon...
Bonjour, plusieurs chics deux et trois ans. Mâles et hongres. Hyper gentils et Pratiques. Belles génétiques, sang, et mères performantes. Sf,Csan...
**** Prince d'orphee ****** Poulain SF 1 an né en avril 2025 , bai Par : Itoki de riverland ISO 137 Fils Candy de nantuel (...
Femelle OC de 1 an Petit prix, départ rapide souhaité 💃 Croisement entre une ponette qui s’est illustrée en cce avec de nombreux...
Annonce sponsorisée
La Sanglière – Clôture Electrique
Pour la sécurité de vos chevaux.
Clôture de haute qualité, solide, fiable, esthétique. Fabrication Française.
Livraison rapide. + de 40 ans d expérience. Devis gratuits
******* PRESTIGE D ORPHEE ******* Poulain male selle Francais pp , bai né fin mai 2025 . Proche de l'homme , monte et voyage en van...
🌟 À VENDRE – Poulain mâle Selle Français 2025 – Origines internationales 🌟 Élevage propose à la vente un poulain mâle Selle...
🐴 OPIUM DIAMANTIS AA Hongre Anglo-Arabe 2 ans Né le 30/03/2024 – castré janvier 2026 ⸻ 🌟 Origines sport haut niveau Père :...
🐎 Un cheval à vendre ?
Mettez-le en valeur sur Equirodi et trouvez-lui un nouveau cavalier passionné.
Vendre mon chevalOrnella du Vana Selle Français Née en 2024 Père Cooper van’t Heffinck Mère par Diamant de Semilly Grand mère maternelle...
Disponible: Jument, Z, 3 ans, bai foncée, 1m55 Par Dartagnan de Beliard X Andiamo Semilly Jument en cours de débourrage,...
Nespa du peyron, belle jument de 2023, par Idem du peyron Han ( Farrell/Sorento) et Vitchoune du lanet SF par Folamour du bois . beau modèle: Un...
Soyez alerté quand de nouvelles annonces sont disponibles
3 jeunes chevaux par Eldorado Van de Rib Più Bella Cosa, yearling SF pp pie crème, 12000€ HT Perlimpinpin Powder, yearling SF isabelle,...
À vendre poulain année 2025 issu d'une jument ayant fait 125 avec amateur (Castronom de hus x count ivor x muguet du manoir) et luccianno,...
Chelsea Morning du Gazon Z CONTAGIO Z x INDORADO Mère sœur utérine UTASCHA SFN Très jolie modèle, idéal projet sport et élevage...












